tubameuo's photo gallery今年もダイビングのメインステージは周参見です。家から3時間ほどで行ける近さと、水中のダイナミックな景観が魅力です。
宿はベルヴェデーレ、夏休み前とあって直前でも取れました。しかし夕食が出てくるのに時間がかかりがっかりでした。こんなところも人手不足かな。
Point name:ソンナエ
時間:Entry 10:17 ~ Exit 10:55
水深:Depth Ave 15.5m Max 26.2m
ブリ・カンパチの群れ。
20m以下では低水温、波高く船が小刻みに揺れる。

ヒレナガカンパチの群れ

ヒレナガカンパチ

卵を抱いたイセエビ

スジアラ

レンテンヤッコ
Point name:姉浦
時間:Entry 13:34 ~ Exit 14:16
水深:Depth Ave 10.6m Max 23.1m
波高く、船酔い。
インストラクターがエア切れ、オクトパスを使用してガイドを続ける。

オトヒメエビ

テンス
今回は一人で来ましたので、安価な民宿にしました。「民宿ヒロハウス」クラブノアすさみに一番近い宿ですが、宿の周りの道がとても狭い。高速道路の延伸工事が急ピッチで進められているからか、ほかに工事関係者が4・5名泊まっていました。
Point name:ソンナエ
時間:Entry 10:41 ~ Exit 11:20
水深:Depth Ave 15.0m Max 22.8m
全体に白濁、透明度今一。風はないが、波やや高い。水面は流れあり。

ヤドカリ
Point name:姉浦
時間:Entry 13:41 ~ Exit 14:25
水深:Depth Ave 13.8m Max 23.5m
マスクが曇り何度もマスククリヤー、目が沁みる。

道路工事の様子
宿はベルヴェデーレです。食事は洋食にしました、なぜか比較的いつも空いているようです。
Point name:ソンナエ
時間:Entry 9:07 ~ Exit 9:52
水深:Depth Ave 14.9m Max 25.6m
流れ無く非常に穏やか。快適!。
潜行すぐにオニカマス発見、ここでは初めて見た。

オニカマス

キハッソク

イシガキダイ

スズメダイ

タテジマキンチャクダイ

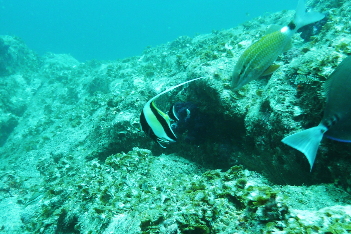
ツノダシ

ゴンズイ
今回は新しいカメラのデビューです。今までとは違い、外付けでストロボを付けたのが気合の入っている所です。
宿は「リヴァージュスパひきがわ」をとりました。日帰り温泉施設に付属したホテル、温泉は以前にも利用したことがありますが、泊まるのは初めてです。民宿よりは高くつきますが、アルカリ性の温泉がとても良いんです。
Point name:ソンナエ
時間:Entry 10:30 ~ Exit 11:11
水深:Depth Ave 16.8m Max 25.5m
透明度は良いが、曇っていて水中は少し暗い。
カメラ、ストロボの扱い未熟。

ミノカサゴ

ユカタハタ

カエルアンコウ

キンチャクダイ
Point name:コジャクシ
時間:Entry 13:37 ~ Exit 14:21
水深:Depth Ave 15.0m Max 25.8m
曇っていて気温も低いので船上で寒い。ウェットスーツにお湯をもらって凌ぐ。

バラハタ

カンパチ・ツムブリ